
Status: Samråd pågår från 26:e mars 2024 till och med 30:e april 2024.
Planens syfte och huvuddrag
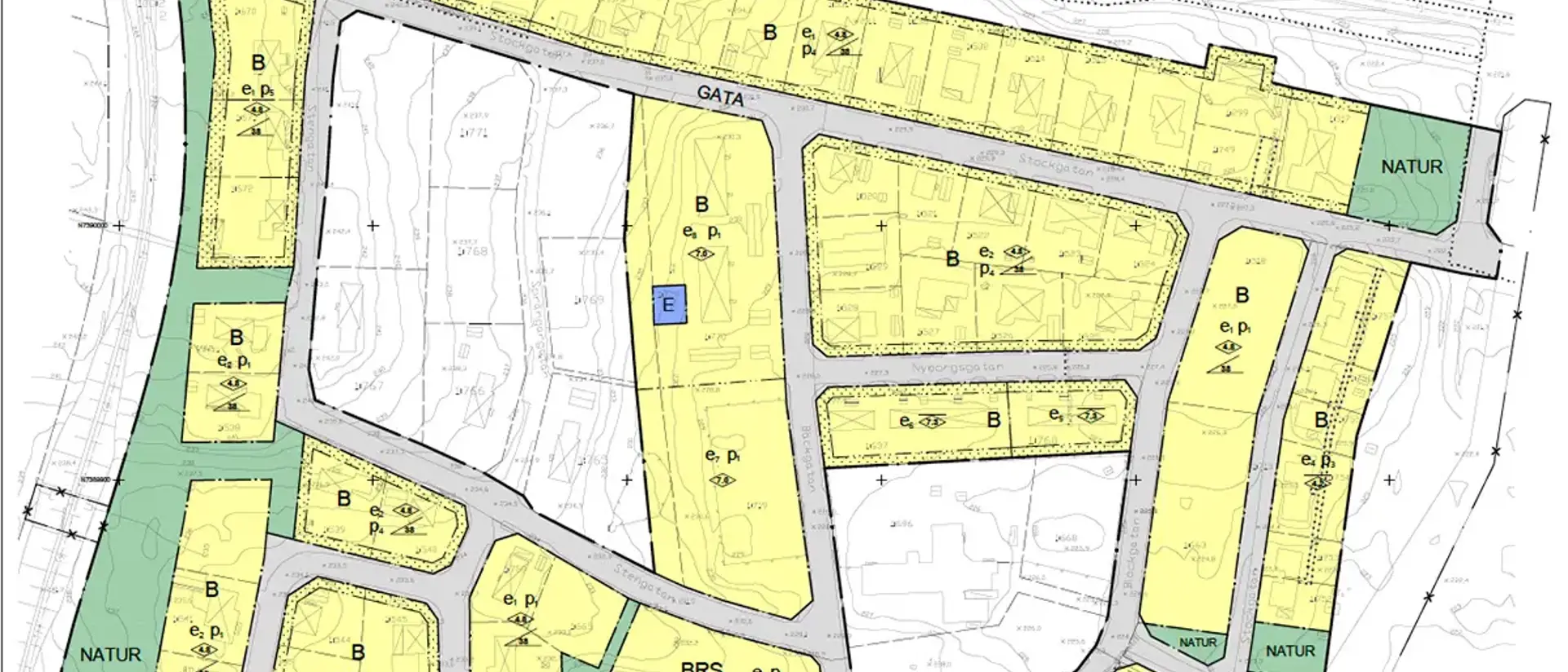
Syftet med detaljplanen är att skapa planmässiga förutsättningar för bostäder. Inom del av planområdet syftar detaljplanen till att också skapa planmässiga förutsättningar för skola samt besöksanläggningar och tillfällig vistelse i småskalig omfattning. Detaljplanen omfattar förutom bostadskvarter även förefintlig gatu- och grönstruktur.
På grund av hur byggrätterna reglerade när den befintliga detaljplanen togs fram kan inte kvartersmarken avstyckas eller bebyggas utifrån nutida behov och efterfrågan, vilket föranlett ett behov av att upprätta ny detaljplan över området. den nya detaljplanen föreslås lämpliga planbestämmelser för tillkommande och befintlig bebyggelse i förhållande till områdets karaktär och äldre byggrätter.
Planen upprättas med utökat planförfarande, enligt Plan- och bygglagen (2010:900)
Planhandlingarna har tagits fram i samarbete med Norconsult på uppdrag av kommunen.

Till planförslaget hör följande handlingar:
Möjlighet att lämna synpunkter på planförslaget
Den som har synpunkter på förslaget får framföra dessa skriftligen senast den 30:e april 2024 till Samhälls- och infrastrukturfunktionen, Jokkmokks kommun, Västra Torggatan 11, 962 85 Jokkmokk eller till registraturen@jokkmokk.se. Märk ditt brev eller email med ärende och diarienr 2020:803.
Den som inte framfört skriftliga synpunkter på förslaget senast under granskningstiden kan förlora rätten att överklaga ett beslut om att anta detaljplanen.
Kontakt
Vid frågor kontakta: